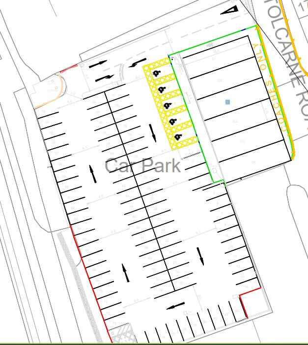
Improvement Works Scheduled for Tolcarne Car Park in Newquay
Improvement works are due to begin at Tolcarne Car Park in Newquay next month, with changes aimed at resurfacing the site and improving access for pedestrians and vehicles.
The works are being carried out as part of the Mid Cornwall Metro Active Travel scheme and are expected to last around six weeks.
When the works start
The next phase of works at Tolcarne Car Park will begin on 12th January 2026 and are expected to take approximately six weeks to complete.
Advisory signage will be installed ahead of the works, with signs expected to be in place before Christmas.
What work is being carried out
The planned works at the car park include:
-
Resurfacing the entire car park
-
Installing new kerbing to clearly separate pedestrian and vehicle routes
-
Relocating an existing lamppost to improve pedestrian access
-
Applying new road markings to create designated parking spaces
Changes to parking layout
Once the work is finished, the layout of the car park will change slightly.
Coach parking will be located at the front of the car park, while car parking will be positioned towards the rear.
Possible disruption during the works
Some short term disruption is expected for nearby users while the works are underway, although this is expected to be minimal.
There may be a slight increase in site traffic for deliveries. These will be managed to avoid queuing on the highway, and efforts will be made throughout the works to maintain safe access and reduce inconvenience.
Who to contact
Anyone with queries or concerns about the works can contact Cormac by calling 0300 1234 222 or by emailing midcornwallmetro@cormacltd.co.uk.
Share This Story, Choose Your Platform!
To keep up with the latest cornish news follow us below
Follow CornishStuff on Facebook - Like our Facebook page to get the latest news in your feed and join in the discussions in the comments. Click here to give us a like!
Follow us on Twitter - For the latest breaking news in Cornwall and the latest stories, click here to follow CornishStuff on X.
Follow us on Instagram - We also put the latest news in our Instagram Stories. Click here to follow CornishStuff on Instagram.
You Might Also Be Interested In
Don’t Miss What’s Happening in Cornwall
Join others in Cornwall by receiving the latest daily news in Cornwall, sent direct to your inbox.





